Drooniga kaardistamine
Drooniga kaardistamine võimaldab kiiresti ja kõrge resolutsiooniga kaardistada maakattetüüpe, hooneid, teid, ehitusobjekte, karjääre, põldusid jne. Maaameti aerofotografeerimise intervall on olenevalt piirkonnast kuni 4 aastat, mis on liiga pikk aeg enamiku ülesannete täitmiseks. Lisaks kiirusele on drooniga kaardistamisel võimalik saavutada väga kõrge ruumilise resolutsiooniga tulemusi (näiteks piksli suurus 1 cm).

Ortofotomosaiigid
Drooniga kogutud pildimaterjalist toodetud ortofotomosaiigid võimaldavad operatiivselt ja täpselt kaardistada kõike, mis õhust nähtav:
Maapealsete kontrollpunktide geograafiliste koordinaatide mõõtmine differentsiaal-GNSS seadmega võimaldab saavutada väga täpset ortofotomosaiigi georefereerimist.
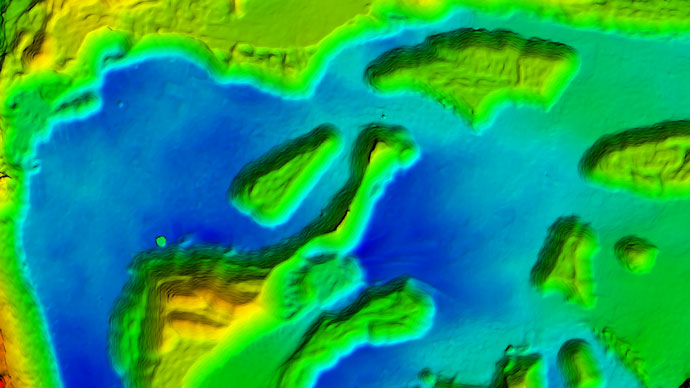
Kõrgusmudelid
Lisaks ortofotomosaiigile võimadab fotogramm-meetriline aerokaardistamine luua detailseid kõrgusmudeleid, mille täpsus tagatakse kontrollpunktide kolmemõõtmeliste koordinaatide mõõtmisega differentsiaal-GNSS seadme abil
Kõrgusmudel võimaldab:
Kõrgusmudeli punktipilvest on võimalik toota vastavalt projekti vajadustele nii maapinnamudeleid, samakõrgusjooni kui ka interaktiivseid 3D mudeleid


Põllumajanduslik, metsanduslik kaardistamine
Drooniga mõõdistamine võimaldab saada kiiret infot põllukultuuride seisundi kohta nii visuaalselt nähtavas kui ka lähisinfrapuna värvispektris:
Rakendused metsanduses:
Kõrgete objektide seisundi fotografeerimine
Tornide, mastide, korstnate, katuste jm kõrgete ja raskesti ligipääsetavate ehitiste foto- ja videodokumenteerimine võimaldab kiiresti ja soodsalt teostada seisundi hinnanguid renoveerimistöödeks ja kindlustusjuhtumite jäädvustamiseks.

Geoinfosüsteemid, kartograafiatööd, andmeanalüüs
Katrograafiatööd, ruumianalüüsid
Veebikaardirakendused
Vabavaralise geoinfosüsteemi QGIS juurutamine, konsultatsioonid, koolitus
Andmeanalüüsid, andmete visualiseerimine
Veebipõhised kaardirakendused
Kaardirakenduste abil on võimalik drooniga kaardistamise tulemused ja muu geograafiline info muuta kergesti kättesaadavaks, lihtsalt kasutatavaks ja operatiivselt uuendatavaks. Brauseripõhiste kaardirakenduste kasutamine ei nõua GIS-alaseid eelteadmisi ega spetsiaalseid programme ja need töötavad ka nutiseadmetes.

QGIS geoinfosüsteem
QGIS on laialdaste kasutusvõimalustega vabavaraline GIS-platvorm. QGIS võimaldab luua, hallata ja analüüsida nii vektor- kui rasterandmeid, andmebaase ja veebiteenustest pärinevaid andmeid (WMS, WCF, WFS, OWS). QGIS on suurepäraste laiendusvõimalustega - saadaval on väga suur hulk tasuta lisamooduleid erinevate üldiste või ka väga spetsiifiliste GIS-ülesannete lahendamiseks. Lisaks sellel on võimalik programmeerida konkreetsete ülesannete täitmiseks spetsiifilisi lahendusi.
QGIS on võimalik kasutusele võtta ilma igasuguste kuludeta. See on väga soodne võimalus väikestel ja keskmistel ettevõtetel, avaliku sektori asutustel ja mittetulundusühingutel võtta kasutusele GIS-platvorm ilma lisakuludeta.
Celsus aitab juurutada QGIS-l põhinevat organisatsiooni GIS-platvormi:













